ツアーブログ
伊豆ダイビングツアー in 井田
こんばんは!
今日はファンダイビングの日~
西伊豆の井田へ行ってきました!
少ないですが、一眼チームとコンデジチームに分かれてダイビング!!
風も無くとっても穏やかなコンディションでした!!
今日は浅場にクラゲが大量発生!
ハナビラウオなどの浮遊系も観察できました!!
砂地徘徊して~
ハゼ攻め!
もうお家が狭そうなミジンベニハゼ!笑
クサハゼにオニハゼ
ペアでのそのそとお散歩中だったウミテング!
カミソリウオやタツノイトコ
綺麗なピンク色のヒロウミウシ&ガラスハゼ
ケーソン周りではミナミギンポや~
体がスケスケのニシキフウライウオ&ザラカイメンカクレエビ
アイドルのカエルちゃんたち!!
ハダカハオコゼは擬態上手!!!
めちゃくちゃ時間かかった~
アカオビハナダイやスジハナダイ
ハワイトラギスの赤ちゃん
ミノカサゴ赤ちゃん可愛かったです!
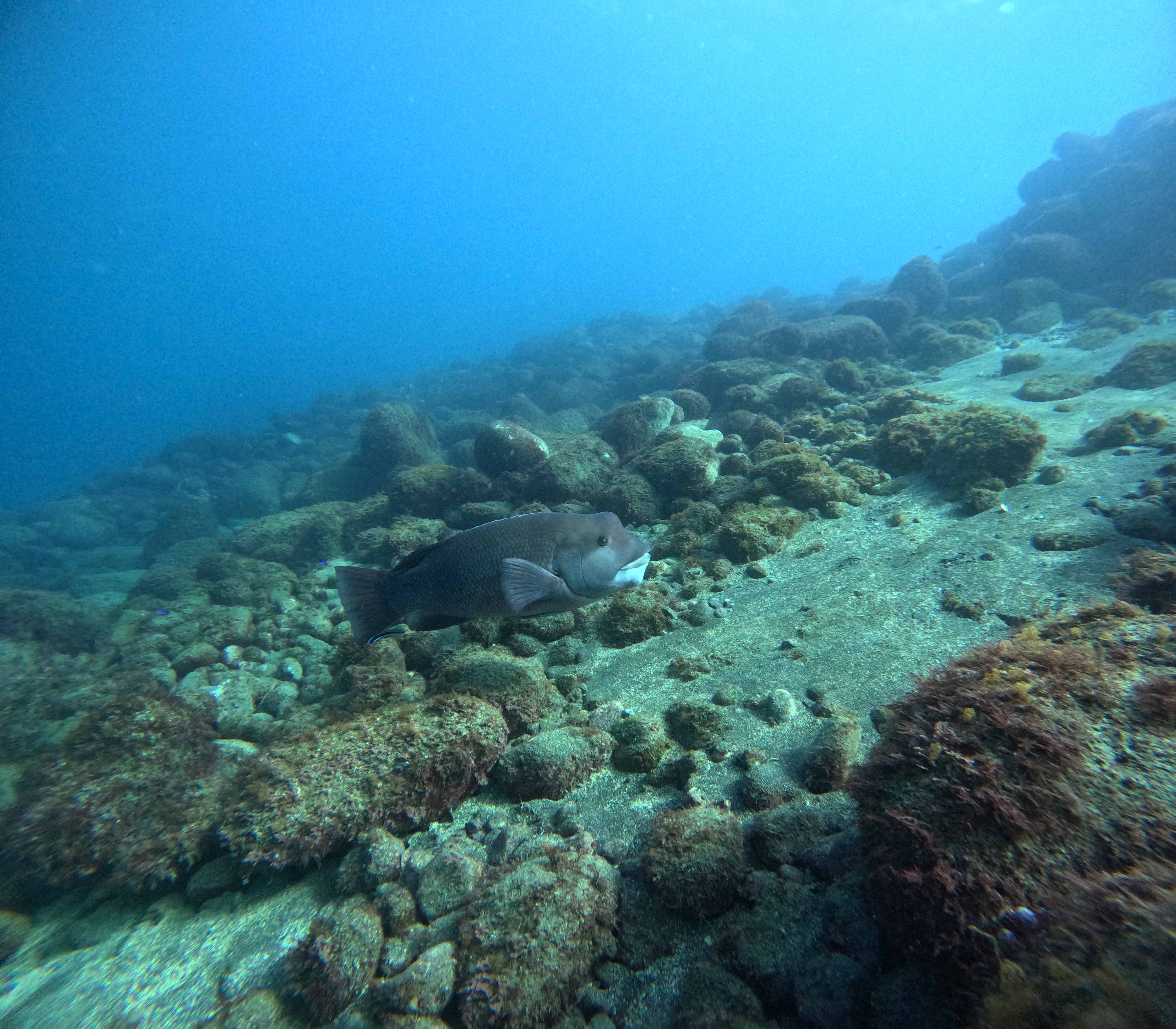
最後はコブダイが遊びに来てくれました!!
朝早くから制限時間いっぱいまで潜り込んで今日は終了です!
今年も沢山ご利用いただきありがとうございました!
来年も宜しくお願いします!
それでは今日はこのへんで~
明日のこの時間もお楽しみに~































