ツアーブログ
伊豆ダイビングツアー in 井田
こんばんは!
今日はリクエストで西伊豆の井田へ行ってきました!
朝から雨が降っていて山の方は霧で真っ白!
アメニモマケズ元気に行ってきまーす!!
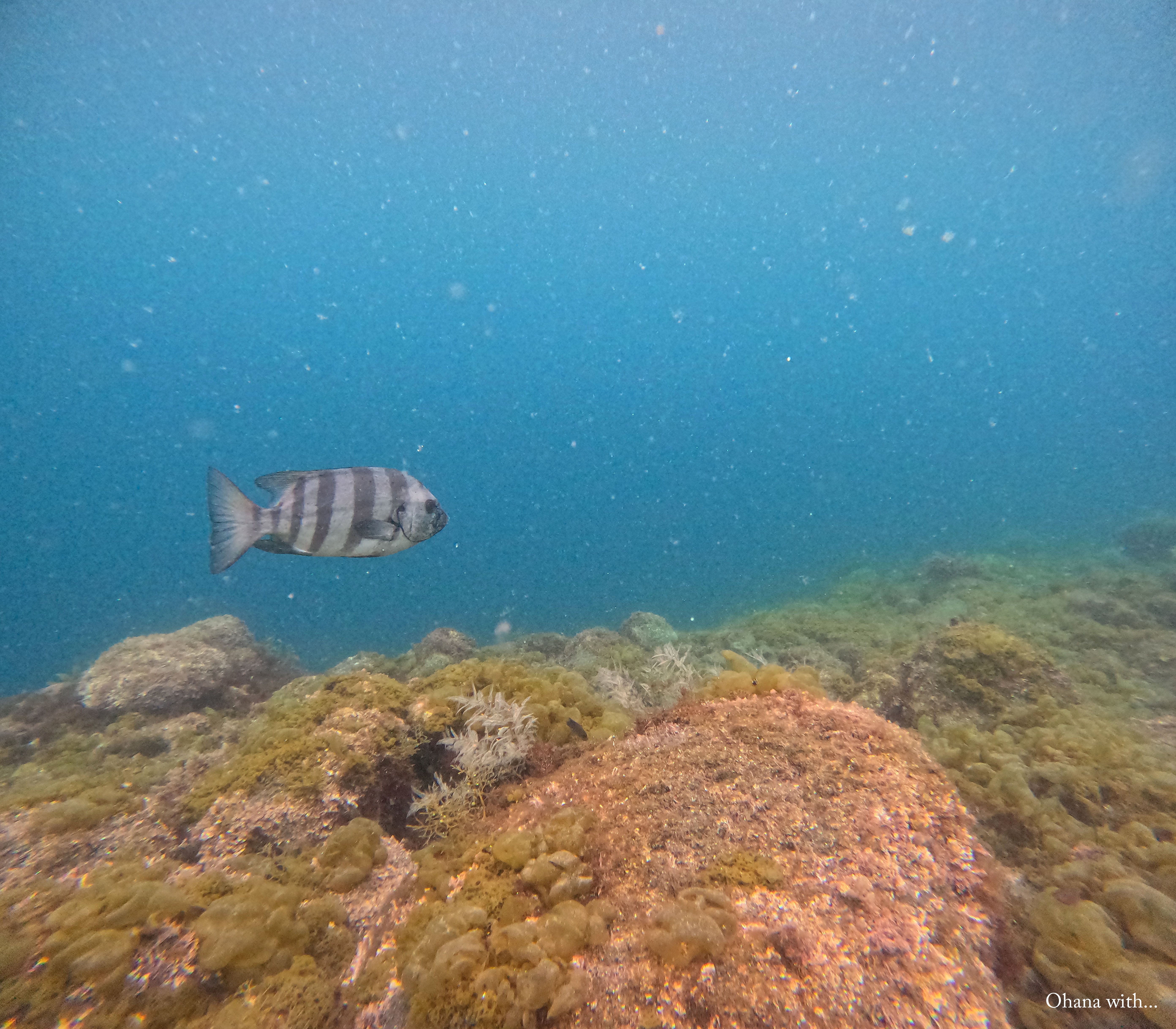
水中は浮遊物は多めでしたが、浅場で10メートル程。
全体的に青っぽく綺麗でした!
海藻はスクスク成長中です!
まずは砂地から探検開始!
今日の深場は少し暗闇モード、、、
砂に隠れていたエイと細長いワカヨウジ!
砂を這うシシイロニセツノヒラムシ
透明すぎて見えないクリアクリーナーシュリンプを観察したり、ダテハゼの数を数えたり~
岩場にはオトヒメエビベイビーとクシノハカクレエビ
ガラスハゼやゴツゴツしているイボイソバナガニ、ビシャモンエビ、ムチカラマツエビなどをGet!
産卵床で木登りしていたウツボを観察して~
近くのカゴにはイカの卵が!
産卵床にも産んでくれるといいな~
安全停止ではチビカサゴやナマコ、ヤドカリ、ソラスズメダイ、イシダイを観察しました~
という感じでのんびりダイビングしてきました!
3日間ご参加頂きありがとうございました!
また来月もお待ちしております♪
それでは今日はこの辺で!
明日のこの時間もお楽しみに~


















